family CERAMBYCIDAE Latreille, 1802
subfamily LEPTURINAE Latereille, 1802
tribe Rhagiini Kirby, 1837
genus Cortodera Mulsant, 1863
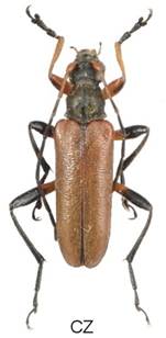
Cortodera femorata (Fabricius, 1787)







Velikost 7-11 mm.
Bionomie. Jehličnaté, spíše smrkové porosty převážně od nížin do středních poloh. Jediným potravním materiálem jsou smrkové šišky. Larvy vrtají v centrálním řapíku a příležitostně také na bázi starých spadlých šišek, nejčastěji těch, které jsou částečně zahrabané v humusu ze spadlého listí. - Imága se vyskytují v V. – VII., maximum konec V. – počátek VI. Imága jsem nacházel ponejvíce na okrajových větvích jehličnatých stromů, sedící na trávě, v letu apod.
Živné rostliny - V šiškách Picea.
Variabilita. Krovky jsou většinou tmavé, vzácně mohou být i žluté.
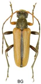
Cortodera humeralis humeralis (Schaller, 1783)







Velikost 7,12 mm.
Bionomie. Kudla (1950) 20.4.1949 nalezl larvy a kukly v půdě. Larvy žijí na povrchu půdy a živí se zbytky větviček a mělkých kořenů v humózní vrstvě. Jedna larva byla nalezena ve starém žaludu. Larvy obvykle mění několikrát krmný objekt. Kukelní komůrky vytvářejí na podzim v půdě, kuklení probíhá velmi časně z jara. Pravděpodobně jednoletý vývoj. - Imága se vyskytují v V. - VI. na Quercus a různých květech, např Crataegus.
Živné rostliny - Quercus a Prunus spinosa.
Variabilita. Obvykle jsou krovky tmavé se zelenavým leskem a žlutými skvrnami na basi. Často mohou být i celé žluté nebo podél švu černě zbarvené.
Cortodera villosa villosa Heyden, 1876

Velikost 8-12 mm.
Bionomie. Neudržované loučky polostepního charakteru, okraje cest, lesíků, políček, pastviny. Larvy v kořenech. Vyspělé larvy mohou pravděpodobně opustit rostlinu a živit se externě. Jednoletý vývoj. - Imága se vyskytují na různých květech v V. - VI., maximum druhá polovina V.
Živné rostliny - Centaurea jacea a stoebae.
Cortodera holosericea (Fabricius, 1801) ssp.?








Velikost 7-14 mm.
Bionomie. Stepní loučky na vápencovém skalním podloží. Larvy v kořenech, pozdější instary pravděpodobně v půdě. Larvy se kuklí pravděpodobně na jaře v půdě. Vývoj jednoletý. - Imága se vyskytují v V. - VI., maximum konec V. a poč. VI. za slunného počasí téměř výhradně na Cyanus (Centaurea).
Živné rostliny - Centaurea triumfettii.
Variabilita. Variabilní druh, nohy hnědožluté nebo černé, krovky různě tmavé a různě hustě nebo řídce chloupkované.
Cortodera flavimana (Waltl,1838) ssp.?





Druh teplých jižněji položených oblastí. Podle literárních údajů bývá vývoj spojený s pryskyřníkem (Ranunculus). Imaga na těchto květech nebo hlohu (Crataegus) v V-VI.
Údajně všechny kusy patří ke druhu Cortodera flavimana, byla ale popsána řada subspecií. Ve své sbírce jsem měl imaga údajně tohoto druhu, která jsem dostal z mnoha evropských a tureckých lokalit. Pod binokulárem jsem je rozdělil asi do 12, více nebo méně odlišných skupin bez další determinace.
Variabilita. Velmi variabilní druh se světlými i tmavými krovkami a světlými i černými nohami.